
*¡Mucho éxito en tu nueva etapa en la Máquina Celeste! Ciudad de México (Junio 19, 2025).- La futbolista Alina “La Gambetita” Hernández...

*Evelyn Salgado reporta afectaciones en Costa Chica; 21 refugios temporales activos en Costa Chica y 750 personas en albergues temporales en Punta...

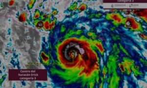
Chilpancingo, Gro., (Junio 19, 2025).- La madrugada de este jueves, a las 05:30 horas, el huracán Erick impactó tierra como categoría 3...

*Huracán Erick sube a categoría 4; prioridad, proteger la vida: Evelyn Salgado. Chilpancingo, Gro., (Junio 19, 2025).- La gobernadora Evelyn Salgado Pineda...

Zihuatanejo, Gro., (Junio 18, 2025).- La presidente municipal, Lizette Tapia Castro, encabezó este miércoles la primera sesión ordinaria del Cabildo Juvenil 2024–2025,...

Zihuatanejo, Gro., (Junio 18, 2025).- El Gobierno Municipal que preside la C.P. Lizette Tapia Castro, a través de la Dirección de Servicios...

*Refuerza Evelyn Salgado medidas preventivas y resguardo a la población. *Llaman a mantenerse en casa y atender recomendaciones oficiales. Chilpancingo, Gro., (Junio...

*Verifica los trabajos preventivos que se realizaron por Capaseg, para evitar inundaciones en zonas bajas del puerto. *Reitera su llamado a las...

*Anuncia la suspensión de movilidad en Acapulco y municipios costeros a partir de las 20:00 horas de este miércoles. *Se prevé que...

Chilpancingo, Gro., (Junio 18, 2025).- Ante la temporada de lluvias, la Secretaría de Agricultura, Ganadería, Pesca y Desarrollo Rural (Sagadegro) hace un...

*Muere en el hospital cuando recibía atención de urgencia. Alejandro Alvarado González Zihuatanejo, Gro.,...

Zihuatanejo, Gro., (7 Marzo, 2026).- Derivado de las detonaciones de arma de fuego reportadas...

*Luego del reporte de fuertes detonaciones de arma de fuego por parte de vecinos...

Zihuatanejo, Gro., (9 Marzo, 2026).- Una persona muere en el interior de un automóvil en...

Alejandro Alvarado González Zihuatanejo, Gro., (18 Marzo, 2026).- Alrededor de las diez de la...




*La alcaldesa recibe los reportes del operativo. Zihuatanejo, Gro., (3 Abril, 2026).- Al realizarse...

Alejandro Alvarado González Zihuatanejo, Gro., (3 Abril, 2026).- Casi 24 horas después de haber...

Alejandro Alvarado González Zihuatanejo, Gro., (3 Abril, 2026).- Empresarios de la zona comercial de...

*Guerrero se consolida como favorito del turismo nacional e internacional en Semana Santa; Taxco...

Taxco, Gro., (3 Abril, 2026).- Calles repletas, ambiente solemne y una intensa actividad turística marcaron...




